Building a Battlefield
June 15, 2013 -- Gettysburg 150 years later
BEFORE -  View of the Confederate Attack Route
BEFORE - Attack Path Centre
BEFORE - Attack Path Right
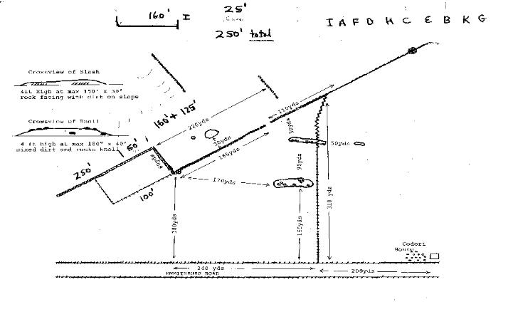
THE BLUEPRINT & DESIGN
LAYING THE STONE
BUILDING THE FENCE
THE ROCK MOVING 'MONSTER'
FINISHED - The Union Defense
FINISHED - Side View
COORDINATING THE PROJECT
STONE WALL - Looking toward Attack
THE ANGLE - Breakthrough
MATTHEW BRADY VERSION - JULY 3, 1863 -- JUNE 30, 2013
EMMITSBURG ROAD - A Fence to Cross